|
 |
|
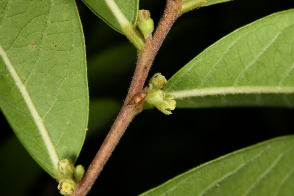
< Á¶µµ¸¸µÎ³ª¹«_ȺиŰ³ ³ª¹æ >
|
|
»ê¸²Ã» ±¹¸³¼ö¸ñ¿ø(¿øÀå ÀÓ¿µ¼®)Àº ±¹¸³»ê¸²°úÇпø(¿øÀå ±è¿ë°ü), Áøµµ±º(±º¼ö ±èÈñ¼ö)°ú ÇÔ²² Èñ±Í¡¤Æ¯»ê½Ä¹°ÀÎ Á¶µµ¸¸µÎ³ª¹«ÀÇ ¼öºÐ¸Å°³Ãæ°ú Á¾ÀÚÇØÃæÀ» ¹ß°ßÇÏ¿© Çа迡 º¸°íÇß´Ù°í ¹àÇû´Ù.
Á¶µµ¸¸µÎ³ª¹«´Â Àü ¼¼°è¿¡¼ À¯ÀÏÇÏ°Ô Áøµµ±º¿¡¼¸¸ ÀÚ»ýÇÏ´Â Èñ±Í¡¤Æ¯»ê½Ä¹°·Î 1983³â Áøµµ±º Á¶µµ¸é¿¡¼ ½ÅÁ¾À¸·Î º¸°íµÇ¾ú´Ù. Á¶µµ¸¸µÎ³ª¹«´Â 2016³â ¼¼°èÀÚ¿¬º¸Àü¿¬¸Í Àû»ö¸ñ·Ï(IUCN Red List)¿¡¼ À§±Þ(CR, critically endangered) ´Ü°è·Î ºÐ¼®µÉ ¸¸Å º¸Àü´ëÃ¥ÀÌ Àý½ÇÇÏ´Ù. ÇöÀç Áøµµ±ºÀº Á¶µµ¸¸µÎ³ª¹«ÀÇ ÇöÁö³»・¿Ü º¸Á¸°ú ´õºÒ¾î »ê¸²º¹¿ø, °¡·Î¼ö °³¹ß µî ÀÚ¿øÈ »ç¾÷À» µ¿½Ã¿¡ ÃßÁøÇϰí ÀÖÀ¸¸ç ±¹¸³¼ö¸ñ¿ø°ú ±¹¸³»ê¸²°úÇпøÀº À̸¦ ±â¼úÀûÀ¸·Î Áö¿øÇϰí ÀÖ´Ù.
À̹ø¿¡ º¸°íµÈ Á¶µµ¸¸µÎ³ª¹«ÀÇ ¼öºÐ¸Å°³Ãæ ¡®Á¶µµ¸¸µÎ°¡´Â³ª¹æ(Epicephala obovatella Kawakita & Kato)¡¯°ú Á¾ÀÚÇØÃæ ¡®´ã°¥»öÁ¶µµ¸¸µÎ¹Ù±¸¹Ì(Nesendaeus monochrous Voss)¡¯´Â ¸ðµÎ óÀ½ º¸°íµÇ´Â Çѱ¹¹Ì±â·ÏÁ¾ÀÌ´Ù. Á¶µµ¸¸µÎ³ª¹«´Â ¾Ï²É°ú ¼ö²ÉÀÌ µû·Î ÇÇ´Â ´Ü¼ºÈ·Î, Á¶µµ¸¸µÎ°¡´Â³ª¹æ ¾ÏÄÆ¸¸ ¼öºÐ¸Å°³(=²É°¡·ç¹ÞÀÌ)¸¦ Çϴµ¥, ȺРÀü´Þ Á÷ÈÄ ¾Ï²É ³»ºÎ¿¡ ¾ËÀ» ³º´Â´Ù.
³ª¹æ ¾Ö¹ú·¹´Â Á¾ÀÚ 1-2°³¸¦ ¸Ô°í ÀÚ¶õ ÈÄ ¼ºÃæÀÌ µÇ°í, ´ã°¥»öÁ¶µµ¸¸µÎ¹Ù±¸¹Ì ¾Ö¹ú·¹µµ ¾î¸° Á¾ÀÚ¸¦ ÆÄ¸ÔÀ½À» È®ÀÎÇß´Ù. ¼öºÐ¸Å°³¿Í °¡Çظ¦ µ¿½Ã¿¡ ÇÏ´Â ³ª¹æ°ú, Á¾ÀÚ °¡Çظ¸ ÇÏ´Â ¹Ù±¸¹ÌÀÇ Á¸À縦 È®ÀÎÇÑ º» ¿¬±¸°á°ú´Â Àü¹®ÇмúÁöÀÎ Çѱ¹ÀÀ¿ë°ïÃæÇÐȸÁö(2025³â 12¿ùÈ£)¿¡ ½Ç·È´Ù.
±¹¸³¼ö¸ñ¿ø »ê¸²»ý¹°´Ù¾ç¼º¿¬±¸°ú ±èÀ챂 ¿¬±¸»ç´Â ¡°Á¶µµ¸¸µÎ³ª¹«ÀÇ ²ÉÀº 4¿ùºÎÅÍ 10¿ù±îÁö ¿¬¼ÓÀûÀ¸·Î ÇǴµ¥, ÇÑ °ïÃæ¿¡ ÀÇÇØ ¼öºÐ¸Å°³¿Í Á¾ÀÚ¼·½ÄÀÌ µ¿½Ã¿¡ ÀϾ´Â ¸Å¿ì µå¹® °æ¿ìÀÌ´Ù.¡±¶ó°í ¾ð±ÞÇß´Ù. °øµ¿¿¬±¸ÀÚÀÎ ±¹¸³»ê¸²°úÇпø »ê¸²»ý¸íÁ¤º¸¿¬±¸°úÀÇ ±¸ÀÚÁ¤ ¿¬±¸»ç´Â ¡°ÀÌ·¯ÇÑ ¼öºÐ¸Å°³°ïÃæ »ýȰ»ç ¿¬±¸¸¦ ÅëÇØ Èñ±Í¡¤Æ¯»ê½Ä¹° Á¶µµ¸¸µÎ³ª¹«ÀÇ Áö¼Ó°¡´ÉÇÑ º¸Á¸ ¹× °ü¸® ¹æ¾ÈÀ» È®¸³ÇϰíÀÚ ÇÑ´Ù.¡±¶ó°í µ¡ºÙ¿´´Ù.
|
 |
|
< Á¶µµ¸¸µÎ³ª¹«_ȺиŰ³ ³ª¹æ_»ê¶õ >
|
|
|
 |
|
< ´ã°¥»öÁ¶µµ¸¸µÎ¹Ù±¸¹Ì >
|
|
|
 |
|
< Àڹ泻 À¯Ãæ_GC-2 >
|
| |